Madhya Pradesh government launched MP Bhulekh Portal at mpbhulekh.gov.in. One can now view MP Bhulekh Khasra Khatauni Ki Nakal, download Naksha (Map Copy) through online mode. Read this article till the end to know how to check MP Bhulekh Khasra / Khatoni Copy and how to view Naksha of plot in PDF format.
Also Read: MP Kisan Kalyan Yojana Beneficiary Status
MP Bhulekh Khasra Khatauni Ki Nakal View Online
STEP 1: Firstly visit the MP Bhulekh Portal at https://mpbhulekh.gov.in/mpbhulekh.do
STEP 2: At the homepage, click at “Bhu-Abhilekh” tab to open a popup window as shown below:-
STEP 3: In this window, click at “Do You Want to Search Land Records for Khasra? – Yes” button.
STEP 4: Then the page to find land details at MP Bhulekh portal will get displayed on your screen.
STEP 5: Select plot unique ID (optional), ULPIN number (optional), owner ID (optional), name of the district (mandatory), tehsil (mandatory), village (mandatory) and then perform search using either land owner name (mandatory) or khasra number (mandatory) or plot number (mandatory).
STEP 6: For eg- we have selected district name as Agar-Malwa, tehsil name as Agar, village name as Abhaypur, khasra number as “1S”, entered captcha and clicked “विवरण देखें” tab.
STEP 7: Accordingly, the section with links to view MP Bhulekh Khasra Naksha online will open on your screen.
STEP 8: Click at eye icon under “खसरा देखें” to view MP Bhulekh Khasra Khatauni Ki Nakal.
Also Read: CM Solar Pump MP Gov In Registration
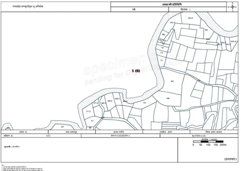
MP Bhulekh Naksha (Map) Copy PDF Download
First 7 steps are the same as mentioned in previous section for view Khasra/Khatoni. However to download Naksha Nakal (Map Copy), there are changes from the 8th step as mentioned here:-
- Firstly visit the MP Bhulekh Portal at https://mpbhulekh.gov.in/mpbhulekh.do
- At the homepage, click at “Bhu-Abhilekh” tab to open a popup window as shown below:-
- In this window, click at “Do You Want to Search Land Records for Khasra? – Yes” button.
- Then the page to find land details at MP Bhulekh portal will get displayed on your screen.
- Select plot unique ID (optional), ULPIN number (optional), owner ID (optional), name of the district (mandatory), tehsil (mandatory), village (mandatory) and then perform search using either land owner name (mandatory) or khasra number (mandatory) or plot number (mandatory).
- For eg- we have selected district name as Agar-Malwa, tehsil name as Agar, village name as Abhaypur, khasra number as “1S”, entered captcha and clicked “विवरण देखें” tab.
- Accordingly, the section with links to view MP Bhulekh Khasra Naksha online will open on your screen.
- Click at eye icon under “नक्शा देखें” to start downloading MP Bhulekh Naksha Copy (Map Copy) in PDF format which is similar to the one shown here:-





Also Read: mpfr agristack gov in Login
MP Bhulekh Helpline Number
Toll Free Helpline Number : 18002030311 (9.45 a.m to 6.15 p.m)
Also Read: MP E Uparjan Farmer Registration Process
Email ID : support[dot]gis[at]begl[dot]org[dot]in
Also Read: Kisan MP Gov In Portal Registration
